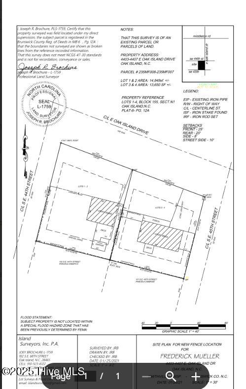
4407 3&4 E Oak Island Drive
Oak Island, NC
Community: Not In Subdivision
Status: Cancelled
Description
Here is your opportunity to own in one of the most sought-after locations on Oak Island. Develop both lots now or use the existing home as a beach cottage for now and develop both lots later. Lots are located directly in the heart of everything OKI has to offer. The property is within close proximity to the beach access, Publix, charming local restaurants and shops. The lot can be subdivided to the original plat if the home is repositioned or moved. High and dry and out of the flood zone. Unusual for the area, these lots include plenty of natural vegetation and trees as well as a gate to insulate the lots from Oak Island Drive. . Lot lines are approximate. Survey is available. Home is connected to public water and sewer. Electric is connected to the home. Home is in good condition. Second lot not connected to water / sewer/ electric. Legible survey available upon request. Possible water views depending on how high you build.
We'll help you find your home
Fill out the form below, or contact us by calling (910) 620.3730 or emailing us at info@shaneregister.com
"*" indicates required fields


















